Người dân đổ xô đi đào 'kho báu' sau siêu bão Mangkhut
Một nhóm người dân Trung Quốc ở Sán Đầu, Quảng Đông đang chạy đua với cuộc săn lùng tiền cổ dưới những đống đổ nát sau khi siêu bão nhiệt đới vừa càn quét qua nước này.
Tìm theo từ khóa
Một nhóm người dân Trung Quốc ở Sán Đầu, Quảng Đông đang chạy đua với cuộc săn lùng tiền cổ dưới những đống đổ nát sau khi siêu bão nhiệt đới vừa càn quét qua nước này.
Mới đây, trên các trang mạng xã hội vừa đăng tải đoạn video ghi lại cảnh một người bố bắt hai con của mình đứng tạo dáng để chụp ảnh giữa mưa to gió giật mạnh khi siêu bão Mangkhut đổ bộ Hong Kong (Trung Quốc).
Bất chấp cảnh báo của giới chức về mức độ nguy hiểm của siêu bão Mangkhut, một người đàn ông Trung Quốc vẫn ngồi trước ngọn sóng cao ở một vùng biển thuộc tỉnh Quảng Đông.
Đặc khu hành chính Hong Kong, Ma Cao và Trung Quốc đại lục hôm nay bắt đầu khắc phục hậu quả sau siêu bão Mangkhut, với các thị trường tài chính và văn phòng dần hoạt động trở lại bình thường.
Phó viện trưởng Viện Khoa học khí tượng thủy văn và biến đổi khí hậu (Viện KHKTTV&BĐKH) Mai Văn Khiêm đưa ra lý giải về quỹ đạo của siêu bão Mangkhut.
Dự kiến siêu bão Mangkhut sẽ đổ bộ Hong Kong (Trung Quốc) vào tối nay (16/9) khi mang theo mưa lớn khiến nước dâng cao ít nhất 4 m.
Bão Mangkhut gây mưa lớn và sạt lở đất, khiến ít nhất 3 người thiệt mạng tại Philippines trước khi hướng tới đất liền Trung Quốc.
Giới chức Philippines cho biết tính đến chiều 15/9, ít nhất 3 người đã thiệt mạng và 4 người bị thương sau khi siêu bão Mangkhut kèm theo mưa to, gió lớn đổ vào tỉnh Cagayan trên đảo Luzon, miền Bắc nước này trước đó cùng ngày, gây ra hiện tượng lũ lụt và sạt lở đất.
Ngày 15/9, Vietnam Airlines (VNA) thông báo do ảnh hưởng của cơn bão số 6 có tên quốc tế là Mangkhut, để đảm bảo an toàn, Hãng dự kiến điều chỉnh kế hoạch khai thác các chuyến bay đến/đi từ Hồng Kông (Trung Quốc) trong ngày 16/9-17/9/2018.
Theo Trung tâm Dự báo khí tượng thủy văn Quốc gia, siêu bão Mangkhut đã đi vào Biển Đông và thành cơn bão số 6 trong năm 2018.
Bão Mangkhut sáng nay đổ bộ bờ biển đông bắc Philippines sau khi hàng nghìn người buộc sơ tán khỏi nhà để tránh cơn bão được đánh giá là mạnh nhất hành tinh năm 2018.
Cuồng phong dữ dội của bão Mangkhut đã tốc bay mái nhà, thổi nghiêng cây cối ở đảo Guam.
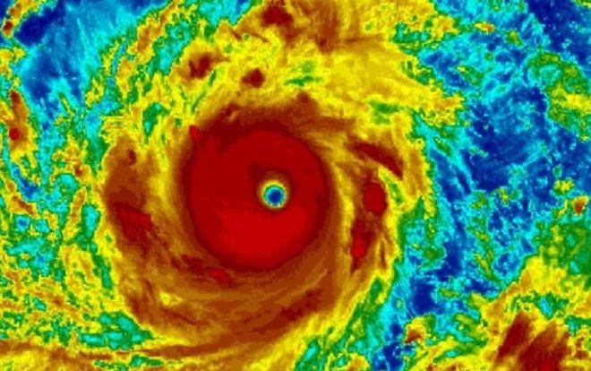
Hình ảnh vệ tinh mắt bão Mangkhut cho thấy rõ sức mạnh của một siêu bão với sức gió tối đa khoảng 280 km/h đang tiếp tục đe dọa nhiều quốc gia châu Á, đặc biệt là Philippines.
Siêu bão Mangkhut (tiếng Thái ) mạnh tương đương siêu bão Haiyan (năm 2013), từng gây thảm họa gần 7.000 người chết ở Philippines.
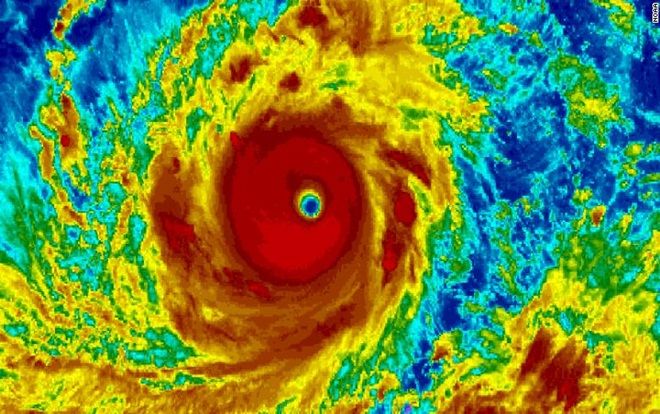
Hình ảnh đáng lưu ý được chụp từ vệ tinh cho thấy bão Florence chỉ là một trong số 9 cơn bão nguy hiểm tiềm tàng đang hoành hành khắp thế giới vào lúc này.
Siêu bão Mangkhut với sức gió lên tới 241 km/h đang hướng về phía Philippines, tăng tốc khi qua Thái Bình Dương và có thể đổ bộ vào Đài Loan, Hong Kong hoặc khu vực bờ biển phía đông nam Trung Quốc đại lục vào cuối tuần này.
Siêu bão Mangkhut sẽ di chuyển hướng về khu vực Bắc Biển Đông trong khoảng 3 ngày tới. Khu vực bị siêu bão tác động mạnh là Miền Bắc và Bắc Miền Trung.
Hiện, có nhiều khả năng siêu bão Mangkhut sẽ đi vào phía Bắc Biển Đông. Đồng thời, một áp thấp nhiệt đới đã hình thành chuẩn bị vào Biển Đông trong 4-5 ngày tới.