Theo tin phát ra mới nhất của Trung tâm Khí tượng Thủy văn Quốc gia, hồi 01 giờ ngày 14/9, vị trí tâm siêu bão Mangkhut (tiếng Việt là Măng Cụt) ở vào khoảng 15,4 độ Vĩ Bắc; 127,7 độ Kinh Đông, cách đảo Lu-Dông (Phi-líp-pin) khoảng 680km về phía Đông Đông Nam. Sức gió mạnh nhất vùng gần tâm siêu bão mạnh cấp 17 (200-220km/giờ), giật trên cấp 17.
Dự báo trong 24 giờ tới, siêu bão di chuyển theo hướng Tây Tây Bắc, mỗi giờ đi được khoảng 20km. Đến 01 giờ ngày 15/9, vị trí tâm siêu bão ở khoảng 17,3 độ Vĩ Bắc; 123,1 độ Kinh Đông, ngay trên vùng biển phía Đông đảo Lu-Dông. Sức gió mạnh nhất vùng gần tâm siêu bão mạnh cấp 17, giật trên cấp 17.

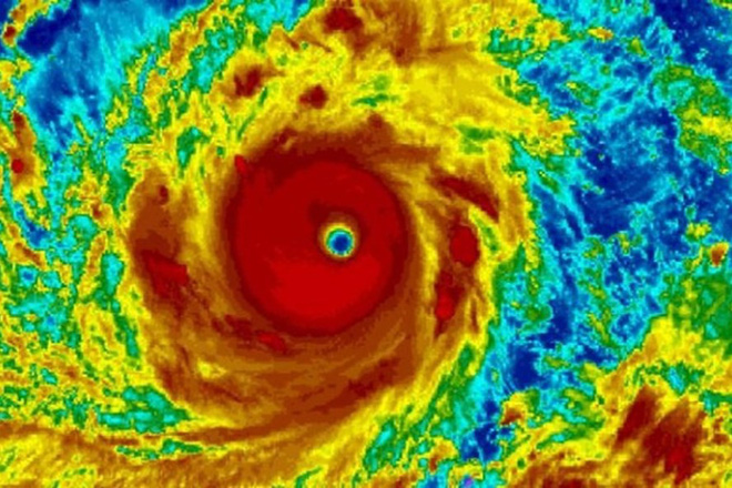
Ảnh vệ tinh cho thấy siêu bão Mangkhut đe dọa Philippines. Ảnh Trung tâm Khí tượng Thủy văn Quốc gia.
Trong 24 đến 48 giờ tiếp theo, siêu bão di chuyển theo hướng Tây Bắc, mỗi giờ đi được khoảng 25km. Đến 01 giờ ngày 16/9, vị trí tâm bão ở khoảng 19,1 độ Vĩ Bắc; 117,7 độ Kinh Đông, trên khu vực Đông Bắc Biển Đông, cách đảo Hải Nam (Trung Quốc) khoảng 740km về phía Đông. Sức gió mạnh nhất vùng gần tâm bão mạnh cấp 15, giật cấp 17. Cấp độ rủi ro thiên tai: cấp 3-4.
Trong 48 đến 72 giờ tiếp theo, bão di chuyển theo hướng Tây Tây Bắc, mỗi giờ đi được khoảng 25km. Đến 01 giờ ngày 17/9, vị trí tâm bão ở khoảng 20,5 độ Vĩ Bắc; 111,8 độ Kinh Đông, ngay trên vùng biển phía Đông đảo Hải Nam. Sức gió mạnh nhất vùng gần tâm bão mạnh cấp 13-14, giật cấp 16. Cấp độ rủi ro thiên tai: cấp 3.
Cảnh báo: Bão Mangkhut sẽ suy yếu dần khi đi vào đảo Hải Nam nhưng vẫn có cường độ rất mạnh. Khả năng cao bão sẽ ảnh hưởng trực tiếp đến Vịnh Bắc Bộ trong khoảng ngày 16-17/9 và ảnh hưởng trực tiếp đến đất liền nước ta trong khoảng ngày 17-18/9. Hoàn lưu bão gây mưa rất to cho Bắc Bộ và Bắc Trung Bộ từ 17-19/9.
Bão Mangkhut mạnh cỡ nào?
Trao đổi với Báo Lao Động, ông Lê Thanh Hải - Phó tổng cục trưởng Tổng cục Khí tượng Thuỷ văn nhận định: “Siêu bão Mangkhut mạnh tương đương siêu bão Haiyan (2013), từng gây thảm họa gần 7000 người chết ở Philippines. Nguyên nhân chính là nước dâng do bão lớn như sóng thần, tới 7,5m.
Hai cơn này tương tự nhau về cả quỹ đạo chuyển động. Tuy nhiên bão Haiyan (2013) đổ bộ miền Trung của Philippines. Vùng đó sức chống chọi thấp. Trong khi đó siêu bão Mangkhut năm nay đi vào vùng đảo Luzon, đây là đảo lớn nằm ở phía Bắc Philippines có sức chống chọi tốt hơn. Vì thế, dự báo hậu quả do siêu bão Mangkhut so với Haiyan sẽ bớt khốc liệt”.

Thi thể các nạn nhân nằm la liệt trên đường phố sau khi siêu bão Haiyan đổ bộ. Ảnh: Trí Thức Trẻ.
Cũng theo ông Lê Thanh Hải trao đổi với Zing.vn, thời điểm siêu bão đổ bộ khoảng trưa ngày 17/9 cần theo dõi chặt chẽ tình hình đê biển từ Móng Cái đến Nghệ An. Ở các đảo ở vùng đông bắc Quảng Ninh, Hải Phòng, khách du lịch và người dân cần được cảnh báo sớm để lên các phương án phòng chống, di dời càng sớm càng tốt. Thời điểm này đúng lúc thuỷ triều dâng ở mức cao nhất, nước dâng do bão kết hợp với thuỷ triều gây sóng cao 4-6 m.
“Từ chiều 17/9, Bắc Bộ sẽ bắt đầu có mưa lớn, lượng mưa cả đợt khoảng 300 - 400 mm. Trong khi đó, tất cả hồ chứa thuỷ điện, thuỷ lợi ở Bắc Bộ, Thanh Hoá, Nghệ An ở mức rất cao. Nếu thêm đợt mưa lớn thì việc điều hành, điều tiết hồ chứa đóng vai trò quan trọng”, ông Hải khẳng định.
Liên quan đến siêu bão Mangkhut, bà Trịnh Thu Phương Trưởng phòng Thuỷ văn Bắc Bộ cho biết: “Khả năng cao xuất hiện đợt lũ lớn trên các sông ở Bắc Bộ như sông Thao, sông Đà, sông Bùi, sông Bưởi… Lũ ở mức báo động 3. Với lượng mưa 300-400 mm, tình trạng lũ quét, sạt lở đất khả năng cao xảy ra ở nhiều tỉnh như Sơn La, Hoà Bình, Lào Cai…
Đặc biệt, Lào Cai vừa bị ảnh hưởng đập chất thải bị vỡ. Nếu xuất hiện mưa lớn, khu vực này sẽ phải đối mặt với nhiều nguy cơ tiềm ẩn với các hồ chứa chất thải ở các khu công nghiệp, khu sản xuất. Đây là mối đe doạ với cuộc sống của người dân.
Bên cạnh đó, nhiều địa phương ở vùng núi phía bắc đang khắc phục hậu quả, tổn thương của lũ quét, sạt lở đất. Do vậy, quá trình ổn định cuộc sống sắp tới sẽ rất khó khăn. Công tác phòng chống, giảm thiểu thiệt hại thiên tai càng quan trọng”.
Ngoài ra, theo quan sát khí tượng cho thấy Hà Nội nằm trong vùng ảnh hưởng trực tiếp. Tâm bão có thể đi xuyên qua sát Hà Nội. Vì thế, tại Hà Nội có thể sức gió lên đến cấp 7 - 8, giật cấp 9. Thời gian xảy ra thời tiết nguy hiểm này có thể từ trưa đến đêm 17/9.
“Nếu thực sự bão vào gây gió cấp 8 thì rất nguy hiểm, nhà chức trách nên cân nhắc cấm các phương tiện lưu thông trên cầu Vĩnh Tuy, cầu Nhật Tân, cầu Thăng Long vào thời điểm bão đổ bộ, nhằm đảm bảo an toàn”, ông Hải chia sẻ.