
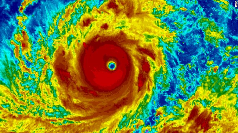
Ảnh vệ tinh cho thấy siêu bão Mangkhut đe dọa Philippines, Hong Kong.
Siêu bão Mangkhut dự kiến đổ bộ miền bắc Philippines với những cơn gió mạnh nhất vào ngày mai (14/9) trước khi tấn công Đài Loan và sau đó có thể đổi hướng về phía Hong Kong và Trung Quốc đại lục.
Theo Hệ thống Điều phối và Cảnh báo Thảm họa thiên tai toàn cầu, khoảng 43 triệu người ở Philippines và miền nam Trung Quốc có thể bị ảnh hưởng bởi Mangkhut.
Cường độ gió bão ngày càng mạnh vào ngày 13/9 và 14/9, có thể lên tới 259 km/h trước khi suy yếu vào ngày 15/9, theo Đài thiên văn Hong Kong. Cơ quan này cũng cảnh báo, Mangkhut “sẽ đe dọa đáng kể tới bờ biển Quảng Đông”. Quảng Đông là tỉnh ven biển Trung Quốc với hơn 100 triệu dân.
Dựa trên đường đi hiện tại của bão, nó có thể quét qua phía bắc đảo Luzon của Philippines. Năm 2013, Philippines từng chịu tổn thất lớn bởi siêu bão Hải Yến, khiến 6.000 người chết và hàng trăm nghìn người mất nhà cửa.
Mangkhut đã quét qua quần đảo Marshall và Guam, vùng lãnh thổ của Mỹ ở Thái Bình Dương. Ở Guam, 80% số hộ dân trên đảo bị mất điện và tình trạng ngập lụt diễn ra trên diện rộng. Mỹ đã triển khai Thủy quân lục chiến và các thủy thủ phát các đồ cứu trợ khẩn cấp cho người dân bị ảnh hưởng.
Tại Philippines, cơ quan phúc lợi xã hội đã chuẩn bị thực phẩm và thuốc men cho khu vực miền bắc đảo Luzon, sẵn sàng tiếp ứng người dân khi bão đổ bộ. Trong khi đó, quân đội, cảnh sát và cơ quan phòng chống cháy nổ được lệnh cảnh giác cao, sẵn sàng triển khai trong trường hợp khẩn cấp.
Khu vực phía đông của Philippines dự kiến bị ảnh hưởng bởi mưa lớn và biển động dữ dội khi cơn bão đi qua, theo Ricardo Jalad, người đứng đầu Cơ quan Phòng vệ dân sự.
Còn tại Đài Loan, các nhà khí tượng dự báo bão Mangkhut sẽ hoành hành ở khu vực phía nam và đông nam hòn đảo từ tối 14/9. Người đứng đầu Viện Hành pháp Đài Loan Lại Thanh Đức đã yêu cầu chính quyền địa phương kích hoạt cơ chế ứng phó thiên tai và sẵn sàng ứng phó khi bão đổ bộ.
Mưa to gió lớn tại quần đảo Mariana khi bão Mangkhut quét qua khu vực này hôm 10/9. (Nguồn video: James Bamba/NYT)