Theo dự báo, siêu bão Mangkhut dự kiến sẽ đổ bộ vào đảo Luzon, miền bắc Philippines vào cuối tuần này, đe dọa thiệt hại về người và tài sản của quốc đảo Đông Nam Á.

Hình ảnh bão Mangkhut nhìn từ vệ tinh Himawari-8 ngày 13/9.
Hiện nay, cơn bão đang cách làng Infanta, tỉnh Quezon, Philippines khoảng 693 km về phía đông. Khu vực này có khoảng 69.079 người, theo một cuộc điều tra dân số năm 2015.
Theo trung tâm dự báo thời tiết AccuWeather, “thiệt hại và lũ lụt trên diện rộng” dự kiến sẽ xảy ra ở phía bắc đảo Luzon, quần đảo Batanes và Babuyan ở Philippines. Lượng mưa từ 150 - 250 mm có thể xảy ra ở phía bắc Luzon, điều này sẽ dẫn đến lũ lụt và lở đất đe dọa đến tính mạng.

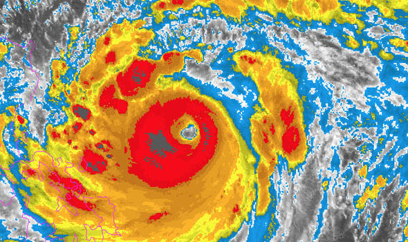
Hình ảnh vệ tinh mới nhất về siêu bão Mangkhut. Ảnh: JTWC
Mangkhut được đánh giá là cơn bão mạnh nhất trong năm tại Philippines, hiện đang di chuyển theo hướng tây-tây bắc với sức gió tối đa khoảng 280 km/h.
Trung tâm Cảnh báo bão liên hợp (JTWC) của Mỹ cho hay: “Hình ảnh vệ tinh hồng ngoại cho thấy sự tăng cường đối lưu giữa các đỉnh mây lạnh ngày một rõ rệt hơn”.
Theo NASA, đỉnh mây lạnh hơn nghĩa là không khí đã tăng cường trong tầng đối lưu. Đỉnh mây càng cao, cơn bão cũng sẽ càng mạnh và tiềm ẩn nguy cơ mưa lớn.

Mangkhut có sức gió tối đa khoảng 280 km/h. Ảnh: JTWC
Mangkhut còn có tên gọi là Ompong ở Philippines, đã đạt đến trạng thái siêu bão và tương đương với bão cấp 5 theo thang đo bão Đại Tây Dương. Theo CNN, Mangkhut có thể gây ảnh hưởng tới hơn 4 triệu người ở Philippines nằm trên đường đi của cơn bão. Một gói cứu trợ trị giá 23 tỷ bảng Anh đã được giới chức nước này thông qua khi họ lo ngại sức tàn phá quá khủng khiếp của cơn bão.
Manuel Mamba, Thống đốc tỉnh Cagayan phía đông bắc Philippines, cho biết: “Điều cần làm bây giờ là sơ tán dân cư ở một số khu vực nguy hiểm”.
Trước đó, Mangkhut đã quét qua đảo Guam thuộc vùng lãnh thổ của Mỹ ở Thái Bình Dương. Cư dân nơi đây đang đối mặt với những tuyến đường bị ngập, cây cối đổ và tình trạng mất điện trên diện rộng.
Miền bắc Philippines, Đài Loan cũng như miền nam Trung Quốc đại lục và miền bắc Việt Nam là những nơi sẽ chịu ảnh hưởng từ cơn bão Mangkhut. Hiện các nhà chức trách của những quốc gia này cũng đang chuẩn bị công tác để đối phó với siêu bão nguy hiểm này.