Tính năng trên iPhone đã cứu 6 người giữa vùng núi mất sóng
Giữa vùng núi hoàn toàn mất tín hiệu, 6 người trượt tuyết đã được cứu nhờ một tính năng ít ai để ý trên iPhone.
Tìm theo từ khóa
Giữa vùng núi hoàn toàn mất tín hiệu, 6 người trượt tuyết đã được cứu nhờ một tính năng ít ai để ý trên iPhone.
Theo 9to5Mac, Apple được cho là đang chuẩn bị nâng cấp kết nối vệ tinh khủng cho iPhone, giúp người dùng duy trì liên lạc ngay cả khi không có sóng di động.
Trận động đất mạnh đã tấn công Myanmar, khiến hơn 1.600 người thiệt mạng, hơn 3.400 người mất tích.
Yan Hongsen, một học sinh lớp 3 tại thành phố Thiệu Hưng của tỉnh Chiết Giang, miền đông Trung Quốc, cậu được đặt biệt danh là 'cậu bé tên lửa', cậu được mời về dạy học cho các bạn cùng trường về bộ môn khoa học vũ trụ tại buổi lễ khai giảng năm học mới.
Cách đây không lâu, có nhiều nguồn tin cho biết Apple đang phát triển tính năng liên lạc qua vệ tinh cho dòng iPhone của mình.
Giá bán các gói Internet quá cao chính là trở ngại lớn nhất hiện nay của Starlink. Tại Philippines, Starlink cung cấp các gói Internet giá 110 đến 500 USD/tháng trong khi các gói Internet di động rẻ nhất tại đây có giá khoảng hơn 5 USD/tháng.
Dự kiến vào khoảng cuối năm nay, Apple sẽ ra mắt tính năng đặc biệt mới lên thế hệ iPhone 14 series sau hơn gần một năm trì hoãn.
Hình ảnh này được chụp hơn nửa thế kỉ trước từ tàu Apollo 8. Nó là lần đầu tiên con người được thấy Trái đất từ một khoảng cách xa đến vậy.
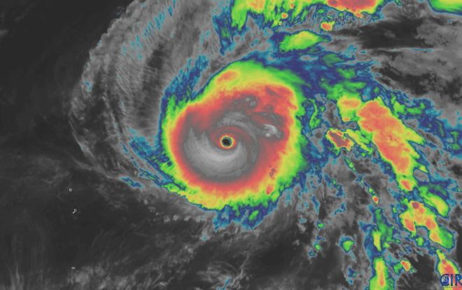
Từ một áp thấp nhiệt đới vô danh giữa Thái Bình Dương, giờ đây vùng áp thấp đó đã “lột xác” để trở thành siêu bão mạnh nhất từng được quan sát qua hình ảnh vệ tinh và vẫn còn mạnh mẽ hơn.
Vệ tinh thuộc dự án Starlink của Elon Musk sẽ che khuất hoặc làm nhiễu tầm nhìn chúng ta quan sát bầu trời.
Hiện nay, xu hướng toàn cầu trong lĩnh vực quảng cáo là các bảng quảng cáo điện tử với đèn ne-on rực rỡ nhưng trong tương lai, chúng sẽ được thay thế bằng cả bầu trời đêm.
Siêu bão Yutu là cơn bão dữ dội nhất từng tấn công phần lãnh thổ nước Mỹ tính từ năm 1935 đang tiến về khu vực Đông Nam Á và vẫn duy trì sức mạnh của một cơn bão lớn.
Micro Dragon là vệ tinh quan sát trái đất, có trọng lượng 50kg, kích thước 50 x 50 x 50 cm. Vệ tinh này có nhiệm vụ quan sát vùng biển ven bờ nhằm đánh giá chất lượng nước, định vị nguồn thủy sản, theo dõi sự thay đổi các hiện tượng xảy ra ở vùng biển ven bờ để phục vụ cho ngành nuôi trồng thủy sản.
Thế giới từng nhiều lần ghi nhận sự xuất hiện của những "quả cầu không gian" tương tự vật thể lạ hình tròn rơi xuống Tuyên Quang và Yên Bái vào cùng ngày 2/1, gây không ít hoang mang cho người dân.
Bảng chữ cái tiếng anh 26 chữ được nhiếp ảnh phi hành gia chụp lại từ vệ tinh, NASA đã phải mất hai năm trời để hoàn thiện bảng chữ cái lý thú này.
"Hôm nay là một ngày đẹp trời để kết nối châu Phi với toàn thế giới", Mark Zuckerberg vừa công bố điều này trên trang cá nhân của mình
Những bức ảnh chụp từ vệ tinh chứng tỏ mức độ đẫm máu trong các vụ tấn công của phiến quân hoặc sự thảm khốc khi thiên tai xảy ra ở một số quốc gia.