Ở vùng biển phía tây của Thái Bình Dương, một cơn bão khổng lồ với sức gió lớn nhất có thể đạt đến 305 km/giờ đang hoành hành ngang dọc. Với sức gió này, cơn bão được xếp vào siêu bão cấp 5 theo thang bão Saffir-Simpson và chính thức được đánh giá là một trong những cơn bão lớn nhất từng được quan sát qua vệ tinh.

Siêu bão Hạ Long cấp 5 với mắt bão lớn có thể thấy được rõ ràng từ vệ tinh. Ảnh: RAMMB/NOAA/CIRA.
Vẻ đẹp đáng sợ của siêu bão này nhanh chóng thu hút sự chú ý của nhiều chuyên gia khí tượng trên khắp thế giới, đặc biệt là các đài quan sát khí tượng lớn. Theo dự báo, cơn bão vẫn còn mạnh hơn nữa do xung quanh nó là nguồn năng lượng dồi dào, hiện đang di chuyển về phía đất liền (nhưng khó có nguy cơ đổ bộ) với tốc độ khoảng 7 km/giờ.
Điều đáng chú ý về cơn bão này, chính là sự thăng cấp nhanh chóng của nó. Hôm 02/11, nó chỉ mới là một vùng áp thấp nhiệt đới không mấy chú ý. Qua một ngày nó trở thành cơn bão cấp 2 rồi sau 18 tiếng tiếp theo, nó đã lột xác trở thành “con quái vật khí tượng” được xếp vào hạng bão cao nhất và dẫn đầu bảng xếp hàng về tốc độ thăng hạng bão nhanh nhất.
Bằng kỹ thuật Dvorak tân tiến, nhà nghiên cứu bão Philip Klotzbach tại Đại học Colorado cho biết: “Các số liệu quan sát mới nhất cho thấy cơn bão này có sức gió lên đến 350 km/giờ. Để dễ hình dung, siêu bão Dorian tàn phá Bahamas vào tháng 8 trước đó có sức gió cực đại là 297 km/giờ”.

Ảnh chụp thực tế siêu bão Hạ Long nhìn từ vệ tinh của NASA.
Dvorak là kỹ thuật quan sát bão hiện đại bằng vệ tinh, các nhà khoa học có thể đưa ra thông số và dự báo về bão mà không cần phải gửi máy bay vào vùng bão để khảo sát thực tế. Kỹ thuật này được sử dụng lần đầu vào năm 1979 khi kỷ nguyên vệ tinh bùng nổ.
Siêu bão Hạ Long được giới chuyên môn theo dõi qua vệ tinh, vì thế nó nhận được kỷ lục là một trong những cơn bão mạnh nhất từng được quan sát qua vệ tinh. Những bức ảnh chụp lại từ vệ tinh cho thấy mắt bão rất lớn ở giữa tâm bão, khiến các nhà khoa học chỉ biết thốt lên rằng nó đẹp một cách đáng sợ.
Ngoài ra, kết quả quan sát cũng cho thấy nhiệt độ vùng nước tăng cao hơn bất thường dù không nhiều. Nhiệt độ nước tại vùng biển mà cơn bão đi qua đạt 29 độ C. Nước biển ấm khiến cơn bão được “tiếp thêm” năng lượng, các chuyên gia nhìn nhận cơn bão sẽ còn phát triển mạnh mẽ hơn nữa.

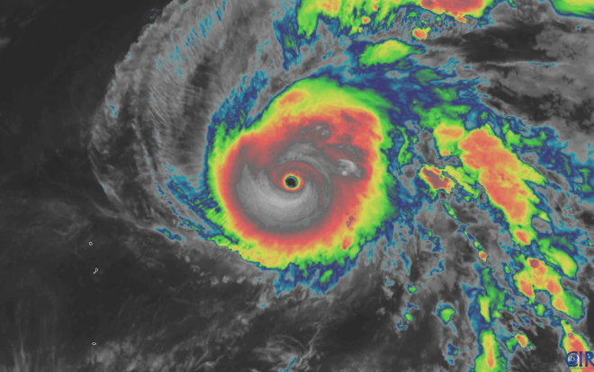
Ảnh hồng ngoại cho thấy sức mạnh khủng khiếp của siêu bão Hạ Long. Ảnh: Severe Weather EU.
Hình ảnh vệ tinh cũng giúp các nhà nghiên cứu thấy được cận cảnh bên trong lõi của bão, không chỉ có nhiều sét, mưa lớn mà nhiệt độ đỉnh mây của cơn bão Hạ Long cũng hạ thấp đến -62,2 độ C. Phương pháp quan sát bão qua vệ tinh giúp giới khoa học có được nhiều thông tin chi tiết, từ đó dự đoán được đường đi và diễn biến tiếp theo của bão một cách chính xác hơn.
Trước đó vào năm 2014, một cơn bão khác cũng mang tên Hạ Long đã xuất hiện tại vùng biển này, đó cũng là một siêu bão cấp 5 theo thang bão Saffir-Simpson. Bão Hạ Long 2019 được dự đoán sẽ khó đổ bộ vào đất liền, nhưng Hạ Long 2014 đã khiến 12 người mất mạng và gây thiệt hại 80 triệu USD.
Theo thống kê, từ năm 1997 đến nay đã có 9 siêu bão cấp 5 hoành hành ở vùng biển phía tây Thái Bình Dương. Năm 2019 là một năm sôi nổi của vùng biển này với những cơn bão lớn. Bão Hạ Long 2019 là cơn bão thứ 13 trong năm nay, trong lịch sử đã có 29 cơn bão được lấy tên Hạ Long.