Mới đây, trên các trang mạng xã hội vừa đăng tải đoạn video ghi lại cảnh một người bố bắt hai con của mình đứng tạo dáng để chụp ảnh giữa mưa to gió giật mạnh khi siêu bão Mangkhut đổ bộ Hong Kong (Trung Quốc).
Đặc khu hành chính Hong Kong, Ma Cao và Trung Quốc đại lục hôm nay bắt đầu khắc phục hậu quả sau siêu bão Mangkhut, với các thị trường tài chính và văn phòng dần hoạt động trở lại bình thường.
Dự báo trong 12 giờ tới, bão di chuyển theo hướng Tây Tây Bắc, mỗi giờ đi được 25-30km, tiếp tục đi sâu vào đất liền phía Nam tỉnh Quảng Tây (Trung Quốc) và suy yếu dần thành áp thấp nhiệt đới.
Với sức gió cực lớn, siêu bão Mangkhut làm bật tung các giàn giáo được dựng bằng tre của một tòa nhà 7 tầng trong khu vực Kowloon của Hong Kong (Trung Quốc) và còn quật ngã người đi bộ.
Siêu bão Mangkhut đã làm tê liệt hệ thống giao thông ở Hong Kong, khiến hầu hết các chuyến bay phải hủy, xe buýt và tàu điện buộc phải ngừng hoạt động. Mặc dù đã có lo ngại về sự an toàn của hai nhà máy điện hạt nhân ở Quảng Đông nhưng cho đến cuối giờ chiều qua, chưa có báo cáo nào về sự cố.
Trước nguy cơ hoàn lưu bão gây mưa lớn ảnh hưởng đến cuộc sống của người dân, hàng trăm đoàn viên thanh niên cùng chi đoàn công an huyện đã giúp tháo dỡ nhà, gặt lúa “chạy bão”.
Giới chức Philippines cho biết tính đến chiều 15/9, ít nhất 3 người đã thiệt mạng và 4 người bị thương sau khi siêu bão Mangkhut kèm theo mưa to, gió lớn đổ vào tỉnh Cagayan trên đảo Luzon, miền Bắc nước này trước đó cùng ngày, gây ra hiện tượng lũ lụt và sạt lở đất.
Bão Mangkhut sáng nay đổ bộ bờ biển đông bắc Philippines sau khi hàng nghìn người buộc sơ tán khỏi nhà để tránh cơn bão được đánh giá là mạnh nhất hành tinh năm 2018.
Hiện siêu bão chưa đi vào Biển Đông nên khu vực ảnh hưởng còn nhiều biến động, khu vực trực tiếp có thể từ Quảng Ninh – Thanh Hoá, trong đó Quảng Ninh chịu tác động cao nhất của siêu bão.
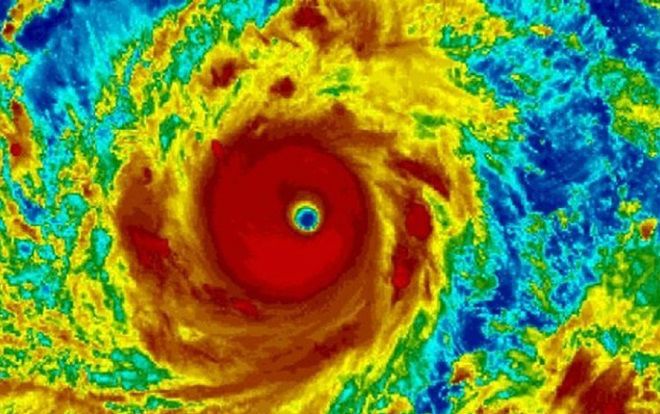
Hình ảnh vệ tinh mắt bão Mangkhut cho thấy rõ sức mạnh của một siêu bão với sức gió tối đa khoảng 280 km/h đang tiếp tục đe dọa nhiều quốc gia châu Á, đặc biệt là Philippines.