GĐ Trung tâm dự báo khí tượng thuỷ văn quốc gia Hoàng Đức Cường thông tin với Vietnamnet, trưa nay vị trí siêu bão Mangkhut cách đảo Lu-dong (Philippin) khoảng 300km về phía Đông, sức gió mạnh nhất vùng gần tâm siêu bão mạnh cấp 17, giật trên cấp 17.
Theo dự báo, siêu bão tiếp tục di chuyển ổn định theo hướng Tây Tây Bắc, khi vào bán đảo Lu-Dông thì suy yếu 1-2 cấp.
Ông Cường cho hay, hiện siêu bão chưa đi vào Biển Đông nên khu vực ảnh hưởng còn nhiều biến động, khu vực trực tiếp có thể từ Quảng Ninh - Thanh Hoá, trong đó Quảng Ninh chịu tác động cao nhất của siêu bão.

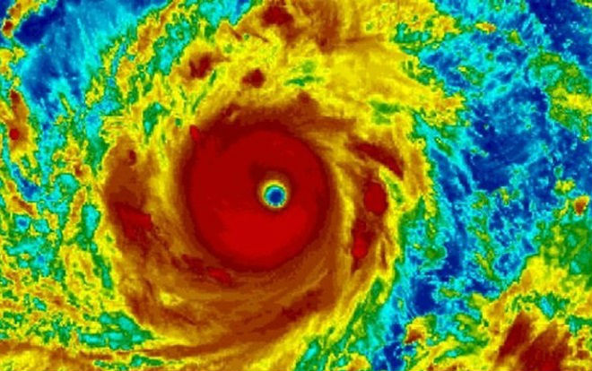
Ảnh vệ tinh cho thấy siêu bão Mangkhut đe dọa Philippines.
Ông Cường cũng cảnh báo về khả năng mưa lớn ở khu vực Bắc Bộ và Bắc Trung Bộ từ 17-19/9, lượng mưa phổ biến từ 200 - 300mm. Nguy cơ ngập lụt tại vùng trũng, vùng thấp và các đô thị thuộc khu vực Đông Bắc.
Cùng trao đổi với báo Lao Động, Ông Lê Thanh Hải - Phó tổng cục trưởng Tổng cục Khí tượng Thuỷ văn - nhận định từ sáng sớm 16-17/9, vịnh Bắc Bộ có gió mạnh, sóng lớn.
Khi vào Biển Đông, bão di chuyển tương đối nhanh 25 km/h, do vậy chúng ta càng có ít thời gian chuẩn bị ứng phó. Đến trưa chiều 17/9, bão Mangkhut sẽ đổ bộ vào đất liền các khu vực nói trên, thậm chí rìa nam của cơn bão có thể ảnh hưởng tới cả Hà Tĩnh, Quảng Bình, Quảng Trị. toàn Bắc Bộ và cả Bắc Trung Bộ có một đợt mưa to đến rất to. Dự kiến lượng mưa lên đến 200 - 400 mm, có nơi 500 mm
Có thể so sánh, siêu bão này mạnh tương đương siêu bão Haiyan (2013), từng gây thảm họa gần 7000 người chết ở Philippines. Nguyên nhân chính là nước dâng do bão lớn như sóng thần, tới 7,5m.