Vòng quanh thế giới

Siêu bão Milton dự báo thành thảm họa tồi tệ nhất 100 năm qua

Minh Ngọc

Dự báo siêu bão Milton sẽ đổ bộ vào ngày 9/10, sau đó suy yếu xuống cấp 3 và tiếp tục di chuyển ra Đại Tây Dương.

Siêu bão Milton dự báo thành thảm họa tồi tệ nhất 100 năm qua Ảnh 2

Sau siêu bão Helen, giữa tuần này, một siêu bão khác là Milton sẽ đổ bộ vào khu vực Vịnh Tampa của Mỹ. Với sức gió đang duy trì là 290 km/h, bão Milton cũng trở thành cơn bão mạnh nhất hành tinh trong năm 2024, tính đến thời điểm hiện tại.

Cơ quan Thời tiết Quốc gia tại Vịnh Tampa cho biết, nếu cơn bão tiếp tục di chuyển theo hướng hiện tại, đây sẽ là cơn bão tồi tệ nhất ảnh hưởng đến khu vực Vịnh Tampa trong hơn 100 năm qua.

Mô hình đường đi của siêu bão Milton.
Mô hình đường đi của siêu bão Milton.

Thị trưởng Vịnh Tampa - Jane Castor đã kêu gọi người dân sơ tán khỏi thành phố trước khi nơi này phải hứng chịu cơn bão có thể được coi là tồi tệ nhất trong 100 năm qua.

Một nhà dự báo thời tiết lâu năm cũng cảnh báo rằng, siêu bão Milton sẽ là thảm họa tồi tệ nhất mà bang Florida từng chứng kiến.

David Hartman, người làm việc cho WAPT ở Mississippi viết trên mạng xã hội rằng: "Thật đáng buồn, đây đang trở thành thảm họa thiên nhiên tồi tệ nhất trong lịch sử hiện đại ở Florida".

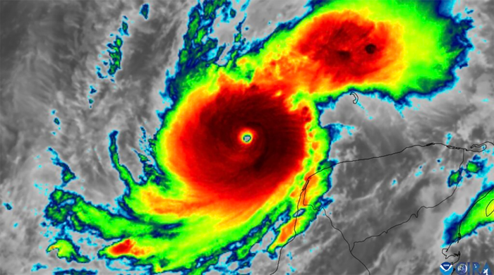
Siêu bão Milton được xem là cơn bão chưa từng có tiền lệ. (Ảnh: CIRA)
Siêu bão Milton được xem là cơn bão chưa từng có tiền lệ. (Ảnh: CIRA)

Tính đến 22h55 ngày 7/10 (theo giờ địa phương), siêu bão Milton còn cách phía Tây Nam của Florida khoảng hơn 1.100km. Trung tâm Dự báo bão Quốc gia Hoa Kỳ dự đoán, siêu bão Milton sẽ đổ bộ vào khu vực Vịnh Tampa ngày 9/10, sau đó suy yếu xuống cấp 3 và tiếp tục di chuyển qua miền Trung Florida ra Đại Tây Dương.

Trước diễn biến khó lường của siêu bão Milton, Thống đốc bang Florida - ông Ron DeSanti đã tuyên bố tình trạng khẩn cấp tại 51 quận, khuyến cáo người dân chuẩn bị đầy đủ thực phẩm, nước uống và sẵn sàng di tản. 

Dự kiến đường đi của siêu bão Milton. (Ảnh: CNN)
Dự kiến đường đi của siêu bão Milton. (Ảnh: CNN)

Bên cạnh đó, các dịch vụ công cộng và trường học ở một số nơi cũng đã tạm đóng cửa từ ngày 7/10 đến 9/10 để đối phó với siêu bão Milton. Sân bay quốc tế Tampa tại bang Florida cũng sẽ tạm dừng các chuyến bay kể từ 9h sáng 8/10 (theo giờ địa phương) và chỉ mở cửa trở lại khi "cảm thấy an toàn".

Chia sẻ FacebookChia sẻ

Bài viết

Minh Ngọc

ĐƯỢC QUAN TÂM

TIN MỚI