Tình hình gia đình Dương Triệu Vũ ra sao sau siêu bão Milton?
Dương Triệu Vũ đã cập nhật tình hình của gia đình sau siêu bão Milton.
Tìm theo từ khóa
Dương Triệu Vũ đã cập nhật tình hình của gia đình sau siêu bão Milton.
Quang cảnh ghi lại được cho thấy, nhiều cuộn sóng cao xuất hiện khi siêu bão Milton càn quét qua khu vực này.
Siêu bão Milton khiến cho một chiếc máy bay suýt chao đảo khi ở tâm bão.
Bà Vanga đã đưa ra những lời tiên tri về năm 2024, trong đó có cả vấn đề liên quan đến thiên tai.
Siêu bão Milton có thể khiến sóng thần dâng cao tới 4,5 mét, tạo nên 'bức tường nước' khổng lồ.
Những diễn biến khó lường của siêu bão Milton khiến hàng triệu người dân 'nín thở'.
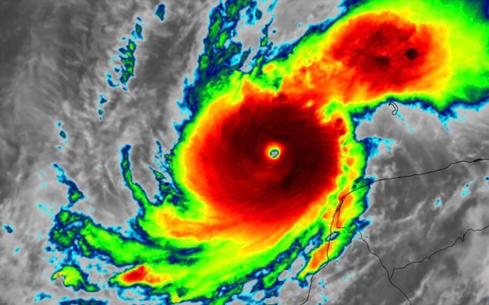
Dự báo siêu bão Milton sẽ đổ bộ vào ngày 9/10, sau đó suy yếu xuống cấp 3 và tiếp tục di chuyển ra Đại Tây Dương.
Với sức gió đang duy trì hiện tại là 290 km/h, bão Milton cũng là cơn bão mạnh nhất hành tinh trong năm nay.
Bão Milton dự kiến tiếp tục mạnh lên nhanh chóng, đạt cường độ bão cuồng phong cấp 4 vào ngày 8/10.