Nhà chức trách Đài Loan cũng ra lệnh 35.000 binh sĩ sẵn sàng tham gia hoạt động phòng chống bão. Nhiều con đường trên núi cũng bị chặn lại đề phòng rủi ro.

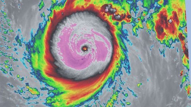
Hình ảnh siêu bão Nepartak nhìn từ vệ tinh - Ảnh: NOAA
Theo Cục Dự báo thời tiết Đài Loan (CWB), siêu bão Nepartak đang di chuyển theo hướng tây-tây bắc với vận tốc 20-25 km/giờ, sức gió có lúc lên tới 245 km/giờ. Dự báo nó đổ bộ Đài Loan vào sáng sớm mai 7/7.
“Bão có thể gây cơn gió mạnh và mưa lớn… Người dân cần đề cao cảnh giác”, cơ quan này cảnh báo

Hình ảnh siêu bão Nepartak nhìn từ vệ tinh - Ảnh: NOAA
Tại Việt Nam, Trung tâm dự báo khí tượng thủy văn Trung ương cho biết lúc 19g hôm nay 6-7, tâm bão cách đảo Đài Loan khoảng 720 km về phía đông nam. Sức gió mạnh nhất ở vùng gần tâm bão mạnh cấp 17 (200-220 km/giờ), giật trên cấp 17.
Dự báo trong 24 giờ tới, bão di chuyển rất nhanh theo hướng tây tây bắc, mỗi giờ đi được khoảng 20-25 km. Đến 19g ngày 7/7, tâm bão cách đảo Đài Loan khoảng 190 km về phía đông nam. Sức gió mạnh nhất ở vùng gần tâm bão mạnh cấp 17, giật trên cấp 17.

Một đường núi bị chặn đề phòng nguy cơ sạt lở đất đá - Ảnh: mashable.com/Twitter
Do ảnh hưởng của hoàn lưu bão, vùng biển phía đông bắc biển Đông từ đêm mai có gió mạnh dần lên cấp 7-8, sau tăng lên cấp 9-10, giật cấp 12-13. Biển động rất mạnh.
Ngoài ra do ảnh hưởng kết hợp với gió mùa tây nam hoạt động mạnh nên khu vực nam biển Đông (bao gồm cả vùng biển quần đảo Trường Sa), vùng biển các tỉnh từ Bình Thuận đến Cà Mau có gió Tây Nam mạnh cấp 5, có lúc cấp 6, giật cấp 7-8 và có mưa rào, dông mạnh. Sóng biển cao 2-4 mét. Biển động. Trong cơn dông có khả năng xảy ra lốc xoáy.
Năm ngoái, siêu bão Dujuan mang theo mưa to gió lớn tràn vào Đài Loan làm bật đổ cây cối và gây ra nhiều vụ sạt lở đất nghiêm trọng, cướp đi sinh mạng của ít nhất 3 người và khiến hơn 300 người bị thương.