Vòng quanh thế giới

Một siêu bão mạnh khó lường đang đổ bộ vào châu Á

Thiên Di

Siêu bão Kong-rey (Leon) đang tiến về châu Á với sức gió kinh hoàng gần 230 km/h, các quốc gia như Philippines, Đài Loan đang gấp rút chuẩn bị đón bão.

Một siêu bão mạnh khó lường đang đổ bộ vào châu Á Ảnh 2

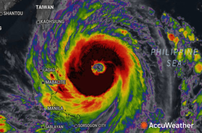
Sáng 30/10, Cục Quản lý Thiên văn, Địa vật lý và Khí quyển Philippines (PAGASA) đã đưa ra cảnh báo về siêu bão Leon (tên quốc tế: Kong-rey) sau khi cơn bão nhiệt đới này tăng cấp mạnh mẽ. 

Theo PAGASA, mắt bão hiện đang ở vị trí cách Calayan, Cagayan khoảng 360 km về phía đông, với sức gió gần tâm lên tới 185 km/h, giật đến 230 km/h. Cơn bão đang di chuyển chậm về phía tây-tây bắc với tốc độ 10 km/h, làm dấy lên nỗi lo ngại về một đợt thiên tai lớn tại Philippines.

Siêu bão Kong-rey tăng cấp mạnh mẽ, châu Á 'nín thở' đón cơn bão khủng.
Siêu bão Kong-rey tăng cấp mạnh mẽ, châu Á "nín thở" đón cơn bão khủng.

Để ứng phó, PAGASA đã ban hành tín hiệu cảnh báo bão số 3 cho khu vực Batanes và phía đông quần đảo Babuyan, trong khi tín hiệu số 2 áp dụng cho phần còn lại của quần đảo Babuyan, Cagayan, cùng các khu vực phía bắc và đông của Isabel. Các biện pháp phòng chống, cứu trợ đã được triển khai nhanh chóng khi nguy cơ thiệt hại lớn từ gió mạnh và mưa lớn đang ngày càng cận kề.

Cơn bão Kong-rey dự kiến sẽ tiếp tục di chuyển về phía tây và đổ bộ vào vùng bờ biển phía đông Đài Loan vào chiều 31/10, sau đó hướng tới vùng biển phía đông Trung Quốc vào sáng ngày 1/11. Trước tình hình căng thẳng này, Cơ quan Thời tiết Đài Loan (CWA) cũng đã phát đi cảnh báo nghiêm trọng, sẵn sàng triển khai tín hiệu báo động đất liền 18 giờ trước khi siêu bão có thể tác động trực tiếp đến lãnh thổ này.

Tính đến sáng 30/10, tâm bão Kong-rey cách mũi Eluanbi, điểm cực nam của Đài Loan, khoảng 540 km về phía đông nam và đang di chuyển về hướng tây bắc với tốc độ 14 km/h. Sức gió đo được gần tâm bão lên tới 173 km/h và giật tới 209 km/h. Trước sức mạnh của cơn bão, các cơ quan chức năng tại Đài Loan đang khẩn trương ứng phó nhằm giảm thiểu thiệt hại về người và tài sản.

Do ảnh hưởng của bão Trami, các quốc gia Đông Nam Á vẫn chưa kịp hồi phục.
Do ảnh hưởng của bão Trami, các quốc gia Đông Nam Á vẫn chưa kịp hồi phục.

Đây là cơn bão nhiệt đới thứ 12 đổ bộ Philippines trong năm 2024 và là cơn bão thứ hai trong tháng 10. Quốc gia Đông Nam Á này vẫn chưa kịp hồi phục hoàn toàn từ hậu quả do bão Trami tuần trước gây ra, với con số thương vong lên đến ít nhất 125 người. Những vết thương lòng sau bão Trami còn chưa lành, người dân Philippines lại một lần nữa đối mặt với nguy cơ từ siêu bão mới.

Công tác chuẩn bị cho Kong-rey đang diễn ra cấp tốc ở khắp các quốc gia trong khu vực châu Á. Người dân không chỉ ở Philippines mà cả Đài Loan và khu vực đông nam Trung Quốc đều đang phải “căng mình” chuẩn bị ứng phó với cơn bão khủng khiếp này.

Chia sẻ FacebookChia sẻ

Bài viết

Thiên Di

ĐƯỢC QUAN TÂM

TIN MỚI