Vòng quanh thế giới

Đường phố Mỹ không một bóng người trước thời khắc siêu bão Milton mạnh nhất 100 năm đổ bộ

Hạ Băng

Những con phố vắng lặng tại Mỹ đã cho thấy sức ảnh hưởng của siêu bão Milton mạnh nhất 100 năm.

Đường phố Mỹ không một bóng người trước thời khắc siêu bão Milton mạnh nhất 100 năm đổ bộ Ảnh 2

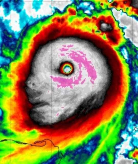
Mới đây, sau khi quét qua Mexico và tàn phá nơi đây, cơn bão Milton đã mạnh lên cấp 5 – cấp cao nhất trong thang đo bão của Mỹ chỉ trong một đêm. Cảnh báo của Trung tâm Bão Quốc gia Mỹ đưa ra: “Milton có khả năng trở thành một trong những cơn bão có sức tàn phá lớn nhất từng được ghi nhận ở phía tây - trung Florida”.

Một đoạn video tại Treasure island (Florida) đã được đăng tải và cho thấy sự vắng lặng của thành phố trước thềm bão Milton đổ bộ. Đường phố hoàn toàn vắng bóng người dân, phương tiện giao thông thưa thớt đến đáng kinh ngạc. Trên đường phố, người ta chỉ còn bắt gặp những đống hoang tàn mà cơn bão Helene để lại trước đó không lâu.

Đường phố Mỹ không một bóng người trước thời khắc siêu bão Milton mạnh nhất 100 năm đổ bộ Ảnh 1
Đường phố Mỹ không một bóng người trước thời khắc siêu bão Milton mạnh nhất 100 năm đổ bộ Ảnh 2

Trước đó, 6 triệu người dân bang Florida đã được cảnh báo nằm trong vùng ảnh hưởng của siêu bão. Đặc biệt, 3,3 triệu người của thành phố Tampa Bay phải ở trạng thái “ngồi trên đống lửa” do có thể chịu ảnh hưởng lớn từ bão Milton. Ngay khi cảnh báo “sơ tán hoặc chết” được đưa ra, người dân đã ngay lập tức ra khỏi nhà di chuyển đến vùng an toàn.

Tuy nhiên, việc sơ tán khỏi vùng bão cũng gặp nhiều khó khăn nhất là tình trạng kẹt xe kéo dài khi người dân tìm nơi trú ẩn ở ngoài tiểu bang và tại Miami. Chưa dừng lại ở đó, đây cũng là thời điểm xăng liên tục “cháy hàng” ở nhiều nơi. May thay, Thống đốc Ron DeSantis đã đảm bảo với người dân rằng có đủ nhiên liệu để họ chạy thoát khỏi cơn bão.

Đường phố Mỹ không một bóng người trước thời khắc siêu bão Milton mạnh nhất 100 năm đổ bộ Ảnh 3
Người dân di chuyển đến vùng an toàn để tránh bão
Người dân di chuyển đến vùng an toàn để tránh bão

Ở nhiều khu vực người dân đã di chuyển đến vùng an toàn, thế nhưng vẫn còn có những người cố gắng tích trữ đồ ăn, nhu yếu phẩm để có thể sinh tồn khi bão Milton đổ bộ. Họ cho rằng sẽ khó có thể chạy trốn khỏi cơn bão này vậy nên đành bất lực.

Milton là cơn bão mạnh nhất ở Đại Tây Dương từ sau bão Dorian năm 2019. Sau khi xuất hiện, Milton đã được xếp vào danh sách 10 cơn bão mạnh nhất được ghi nhận tại vùng biển Đại Tây Dương.

Chia sẻ FacebookChia sẻ

Bài viết

Hạ Băng

ĐƯỢC QUAN TÂM

TIN MỚI