Vòng quanh thế giới

Bão Milton nhấn chìm 1 thị trấn, nhiều gia đình sơ tán khẩn cấp

Tôn Nghệ Trân

Một thị trấn nằm sát thủ đô La Habana của Cuba ngập hoàn toàn do bão Milton.

Bão Milton nhấn chìm 1 thị trấn, nhiều gia đình sơ tán khẩn cấp Ảnh 2

Milton - siêu bão mạnh nhất thế giới đang di chuyển với tốc độ và sức gió chưa từng thấy, sắp đổ bộ vào bang Florida (Mỹ).

Được biết, đến ngày 9/10, cơn bão này cũng gây ảnh hưởng đến Cuba, khi một thị trấn ở ngay sát thủ đô nước này bị ngập hoàn toàn.

Cu Ba chịu ảnh hưởng từ bão Milton - Ảnh minh họa thủ đô La Habana trước khi bão đổ bộ.
Cu Ba chịu ảnh hưởng từ bão Milton - Ảnh minh họa thủ đô La Habana trước khi bão đổ bộ.

Theo cập nhật của phóng viên TTXVN tại Cuba, siêu bão Milton sắp đổ bộ với sức gió ghi nhận giật cấp 5 trên thang bão 5 cấp Saffir-Simpson. Ngày 8/10, bờ biển phía Tây Nam nước này là một trong những nơi chịu ảnh hưởng đầu tiên của bão Milton. Được biết, thị trấn Surgidero de Batabanó (tỉnh Mayabeque) đã ngập hoàn toàn do ảnh hưởng của bão. 

Khu vực này giáp với thủ đô La Habana - trung tâm chính trị, văn hóa, kinh tế của Cuba. Người dân ở thị trấn Cocodrilo và các khu vực ven biển đang tiến hàng sơ tán, bảo vệ tài sản trước ảnh hưởng của bão. 

Theo dự báo từ Viện Khí tượng Cuba, bão Milton có thể gây ra mưa lớn, gió giật mạnh ở nước này vào ngày 8 - 9/10. Bão có thể gây ra lũ lụt, cùng nhiều sự cố thiên tai khác ở Tây Bắc Cuba.

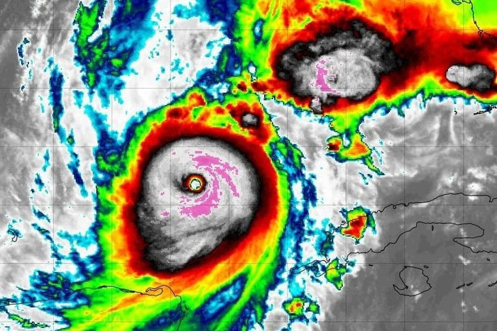
Hình ảnh mắt bão Milton đang đổ bộ vào bang Florida (Mỹ).
Hình ảnh mắt bão Milton đang đổ bộ vào bang Florida (Mỹ).
Dự báo hướng đi của bão Milton - CNN.
Dự báo hướng đi của bão Milton - CNN.

Theo dự báo từ Trung tâm Bão Quốc gia Mỹ, bão Milton không thay đổi đường đi. Bão tiếp tục đi qua Sarasota, Florida, dự kiến vào tối thứ Tư (giờ Việt Nam). Bão Milton có sức tàn phá chưa từng thấy, các chuyên gia về thời tiết cũng gặp nhiều khó khăn trong việc phán đoán sự thay đổi của nó. 

Trước khi bão đổ bộ, Florida được ví như thành phố ma, khi người dân đã bắt đầu sơ tán. Các chuyến bay đến địa phương này đã bị hủy. Trung tâm Dự báo Bão (SPC) cảnh báo, có hơn 3 triệu người có khả năng chịu ảnh hưởng bởi các cơn lốc xoáy gây ra bởi bão Milton.

Dự kiến vào thứ 5, các nơi như Tây Bắc Bahamas, bờ biển Georgia, Nam Carolina sẽ chịu ảnh hưởng của bão nhiệt đới.

Chia sẻ FacebookChia sẻ

Bài viết

Tôn Nghệ Trân

ĐƯỢC QUAN TÂM

TIN MỚI