Nữ ca sĩ góp 1 triệu đô la cứu trợ người dân ảnh hưởng do bão
Nữ ca sĩ khiến nhiều người ấm lòng vì hành động ý nghĩa.
Tìm theo từ khóa
Nữ ca sĩ khiến nhiều người ấm lòng vì hành động ý nghĩa.
Cơn bão càn quét khiến cho ngôi làng tan hoang, nhiều thiệt hại về con người và tài sản.
Bão Helene đã cướp đi 132 mạng sống tại Mỹ, hàng trăm người mất tích. Nhà chức trách cảnh báo số người thiệt mạng có thể còn tăng.
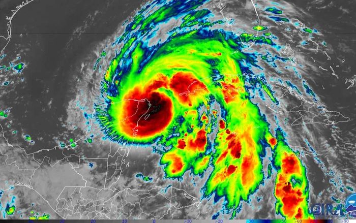
Bão Helene mạnh cấp 4 khi đổ bộ vào đất liền, cấp cao thứ hai trong thang 5 cấp bão.
Dự báo khi bão Helene đổ bộ sẽ gây ra nhiều biến động thời tiết, không loại trừ khả năng gây ra sóng thần cho Mỹ.
Cơ quan khí tượng đã đưa ra cảnh báo cấp độ cao cho sự đổ bộ của bão Helene vào các khu vực thuộc bang Florida, Mỹ.
Theo nhận định, siêu bão Helene sẽ đổ bộ vào Florida, Mỹ trong hôm nay (26/9). Bão Helene được dự đoán là cơn bão mạnh nhất đổ bộ Mỹ trong hơn một năm qua.