Cận cảnh cuộc sống

Cận cảnh mắt siêu bão Krathon: Cảnh báo cấp độ đỏ, giật cấp 17 gây biển động dữ dội

Thiên Di

Siêu bão Krathon tiến vào Biển Đông với sức gió cấp 17, gây sóng biển cao tới 11 mét, tiếp tục di chuyển chậm về phía Đài Loan, gây lo ngại lớn.

Cận cảnh mắt siêu bão Krathon: Cảnh báo cấp độ đỏ, giật cấp 17 gây biển động dữ dội Ảnh 2

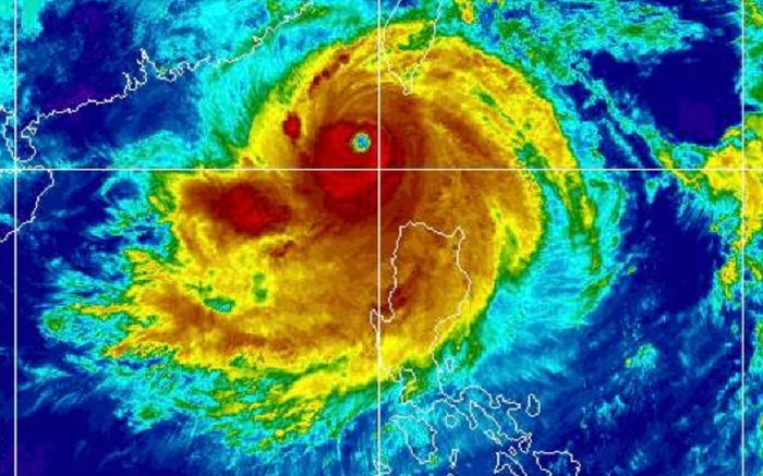
Sáng ngày 1.10, siêu bão Krathon, cơn bão số 5 trong năm nay, đã chính thức đi vào khu vực phía bắc Biển Đông sau khi mạnh lên thành siêu bão. 

Theo thông tin từ Trung tâm Dự báo Khí tượng Thủy văn Quốc gia, vào khoảng 10 giờ sáng nay, vị trí tâm bão nằm tại tọa độ 20,7 độ vĩ bắc và 119,6 độ kinh đông. Sức gió của siêu bão này đạt cấp 16, tương đương 184 - 201 km/giờ, với gió giật vượt trên cấp 17.

Hình ảnh mắt siêu bão Krathon (bão số 5)
Hình ảnh mắt siêu bão Krathon (bão số 5)

Krathon di chuyển rất chậm, chỉ đạt tốc độ 5 km/h theo hướng tây tây bắc, làm cho mắt bão hiện rõ và duy trì sự ổn định cao. Đây là yếu tố khiến nhiều chuyên gia lo ngại về tác động kéo dài của cơn bão đối với khu vực.

Dự báo trong 24 giờ tới, bão sẽ tiếp tục tiến dần về vùng biển gần Đài Loan (Trung Quốc). Vào khoảng 10 giờ sáng ngày 2.10, tâm bão Krathon sẽ nằm tại 22,1 độ vĩ bắc và 119,7 độ kinh đông, cách Đài Loan chỉ 110 km về phía nam tây nam. Tại thời điểm này, sức gió vẫn mạnh ở cấp 16, giật trên cấp 17, và siêu bão tiếp tục di chuyển với tốc độ chậm 5 km/h.

Hình ảnh mắt siêu bão Krathon (bão số 5)
Hình ảnh mắt siêu bão Krathon (bão số 5)

Tuy nhiên, khi tiến vào vùng biển Đài Loan, siêu bão Krathon dự kiến sẽ bắt đầu suy yếu. Đến ngày 3.10, bão sẽ tiếp cận bờ biển phía đông Đài Loan, sức mạnh giảm xuống cấp 13 và giật cấp 16, di chuyển nhanh hơn với tốc độ 10 km/h.

Trong khoảng thời gian từ 72 đến 96 giờ tiếp theo, bão Krathon sẽ chuyển hướng di chuyển lên phía bắc và tiếp tục suy yếu, mỗi giờ đi được khoảng 10 km.

Khu vực bắc Biển Đông đang phải đối mặt với nguy cơ lớn từ siêu bão Krathon. Vùng biển phía đông bắc của Biển Đông, đặc biệt là khu vực phía bắc vĩ tuyến 18 và phía đông kinh tuyến 116,5, sẽ phải hứng chịu những cơn gió mạnh từ cấp 10 đến 13, vùng gần tâm bão có gió cấp 14 đến 16, giật trên cấp 17. Sóng biển tại đây được dự báo sẽ cao từ 9 đến 11 mét, tạo ra tình trạng biển động dữ dội.

Trong 24 giờ tiếp theo, siêu bão đi vào vùng biển Đài Loan (Trung Quốc) và suy yếu dần.
Trong 24 giờ tiếp theo, siêu bão đi vào vùng biển Đài Loan (Trung Quốc) và suy yếu dần.

Các tàu thuyền hoạt động trong vùng biển nguy hiểm này đều có nguy cơ bị ảnh hưởng nặng nề bởi gió mạnh, sóng lớn, giông và lốc. Cơ quan khí tượng khuyến cáo các tàu thuyền cần nhanh chóng di chuyển ra khỏi vùng nguy hiểm và tăng cường các biện pháp an toàn cần thiết để tránh thiệt hại do bão gây ra.

Với sức mạnh kinh hoàng và tính chất chậm chạp của siêu bão Krathon, người dân khu vực bắc Biển Đông, đặc biệt là các tàu thuyền và ngư dân, cần hết sức cảnh giác và tuân thủ mọi khuyến cáo từ cơ quan chức năng để đảm bảo an toàn.

Chia sẻ FacebookChia sẻ

Bài viết

Thiên Di

ĐƯỢC QUAN TÂM

TIN MỚI