Cận cảnh cuộc sống

4 sân bay nào phải đóng cửa do siêu bão Yagi?

Thúy Ngọc

4 sân bay gồm bị ảnh hưởng trực tiếp bởi siêu bão Yagi sẽ tạm dừng hoạt động.

4 sân bay nào phải đóng cửa do siêu bão Yagi? Ảnh 2

Chiều 5/9, Cục Hàng không Việt Nam họp triển khai phương án phòng chống, ứng phó bão Yagi. Lãnh đạo Cục Hàng không Việt Nam cho hay, siêu bão Yagi là cơn bão rất mạnh, đang diễn biến rất phức tạp và sẽ đổ bộ Việt Nam.

Đóng cửa 4 sân bay do siêu bão Yagi.
Đóng cửa 4 sân bay do siêu bão Yagi.

Nhận định bão có mức độ rủi ro thiên tai lớn, có khả năng ảnh hưởng và uy hiếp an toàn khai thác tại các cảng hàng không, Cục trưởng Hàng không Đinh Việt Thắng đã yêu cầu tạm ngừng tiếp thu, khai thác tàu bay tại một số sân bay.

Cụ thể, sân bay Vân Đồn (Quảng Ninh) sẽ tạm dừng khai thác từ 4h đến 16h ngày 7/9. Sân bay Cát Bi (Hải Phòng) ngừng hoạt động từ 5h đến 16h ngày 7/9. Sân bay Nội Bài tạm đóng cửa từ 10h đến 19h ngày 7/9. Sân bay Thọ Xuân (Thanh Hóa) đóng cửa từ 12h đến 22h ngày 7/9.

Bên cạnh đó, Vietjet Air cho biết trong ngày 7/9 sẽ ngừng khai thác 18 chuyến bay đến và đi sân bay Cát Bi, 67 chuyến bay đến và đi Nội Bài, 4 chuyến bay đến và đi Thọ Xuân.

Hãng hàng không Bamboo cũng sẽ hủy 14 chuyến bay trong ngày 7/9, gồm 2 chuyến liên quan đến sân bay Cát Bi và 12 chuyến liên quan đến sân bay Nội Bài.

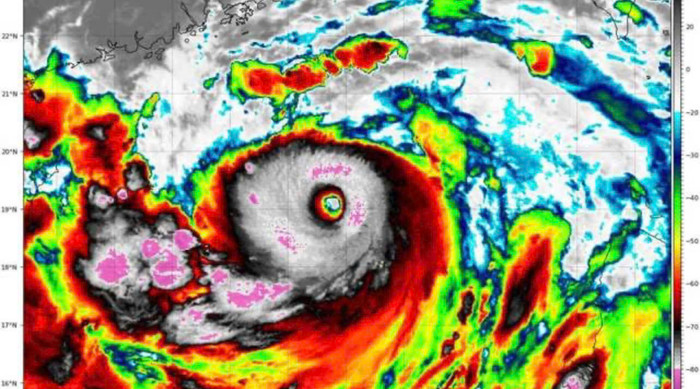
Cường độ siêu bão (184-201 km/h), giật trên cấp 17. 
Cường độ siêu bão (184-201 km/h), giật trên cấp 17. 

Các cảng hàng không, công ty quản lý bay khu vực tập trung mọi nguồn lực để thực hiện các biện pháp phòng, chống ảnh hưởng của siêu bão Yagi đến hạ tầng kỹ thuật của cảng và máy bay trên sân đỗ, đồng thời thực hiện nghiêm các phương án phòng, chống bão của địa phương.

Theo Trung tâm Dự báo Khí tượng Thủy văn quốc gia, lúc 17h ngày 5/9, tâm bão trên vùng biển phía Bắc khu vực Bắc Biển Đông, cách đảo Hải Nam của Trung Quốc khoảng 380 km, cường độ siêu bão (184-201 km/h), giật trên cấp 17. Trong ba ngày qua, trung bình cứ sau ba giờ bão tăng một cấp, từ 8 lên 16.

Trung bình cứ sau ba giờ bão tăng một cấp, từ 8 lên 16.
Trung bình cứ sau ba giờ bão tăng một cấp, từ 8 lên 16.

Dự kiến từ nay đến chiều tối mai, khi áp sát bán đảo Lôi Châu và đảo Hải Nam của Trung Quốc, bão tiếp tục giữ cường độ siêu bão. Tối mai, khi vượt đảo Hải Nam vào vịnh Bắc Bộ, bão giảm còn cấp 13-14. Từ chiều 7/9, bão đổ bộ miền Bắc, trọng tâm từ Quảng Ninh tới Thanh Hóa.

Chia sẻ FacebookChia sẻ

Bài viết

Thúy Ngọc

ĐƯỢC QUAN TÂM

TIN MỚI